Skip to main content
File #: ID 19-1986    Version: 1 Name:
Type: Action Item Status: Agenda Ready
File created: 4/18/2019 In control: City Council
On agenda: 5/14/2019 Final action:
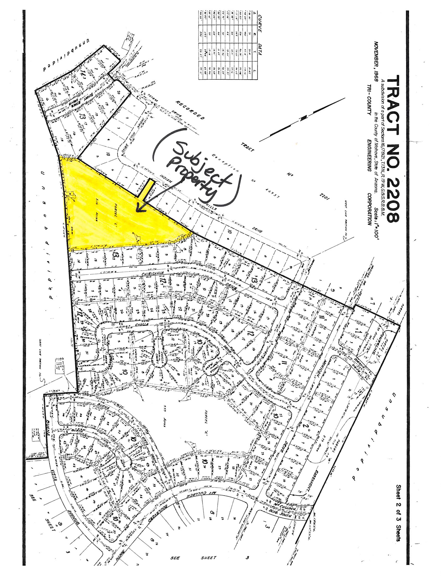
Title: Award Bid for the Sale of City Owned Parcel "L" of Tract 2208, Block 13 Located at 3702 Indian Hills Drive to Danny T. and Tracey A. Page Trust (APN 111-18-298) (Stuart Schmeling)
Attachments: 1. Bid Sheet, 2. Appraisal Summary, 3. Tract 2208 Map

COUNCIL COMMUNICATION

 

 

TO:                                          Honorable Mayor and Council

 

FROM:                     Stuart Schmeling, Community Investment Department

 

 

SUBJECT:Title

Award Bid for the Sale of City Owned Parcel “L” of Tract 2208, Block 13 Located at 3702 Indian Hills Drive to Danny T. and Tracey A. Page Trust (APN 111-18-298) (Stuart Schmeling)

Body

 

FUNDING SOURCE:

N/A

PURPOSE:

To award a bid for the sale of the city owned property Tract 2208, Block 13 Parcel “L” to Danny T. and Tracey A. Page Trust in the amount of $214,400.

 

BACKGROUND:

In August of 2018, Sam Woods, Built Well Construction, submitted an application to the Community Investment Department requesting to purchase a 5.16-acre City owned property located at 3702 Indian Hills Drive. The City parcel is currently zoned R-1, Single-Family District. Through our review process, staff determined the property had no government purpose and subsequently acquired an appraisal of the property for market value to establish a minimum bid for the property.

 

The appraisal valued the 5.16-acre parcel at $205,000, anticipating residential development. The summary statement is provided as an attachment. A copy of the entire appraisal is available in the Community Investment Department.

 

Sealed bids were accepted through March 27, 2019, at 3:00 pm. The City received one bid in the amount of $214,400 from Danny T. and Tracey A. Page Trust represented by Mr. Woods at the opening. 

 

COMMUNITY IMPACT:

One additional residential property on the tax roll to encourage residential development.

 

FISCAL IMPACT:

Revenues generated in the amount of $214,400 from the sale of public property.

 

ATTACHMENTS:

Bid Sheet

Appraisal Summary

Tract 2208 Map

 

SUGGESTED MOTION::Recommended Action

I move to award the bid for the sale of City Real Property Parcel “L,” of Tract 2208, Block 13, (APN 111-18-298) in the amount of $214,400 to Danny T. and Tracey A. Page Trust.